Wednesday, February 11, 2026
spot_img

Top 5 This Week

spot_img

Related Posts

How Hurricane Humberto Might Become the U.S. Southeast’s Surprising Defender Against Imelda

Analyzing the Behavior of Hurricane Humberto and Tropical Storm Imelda

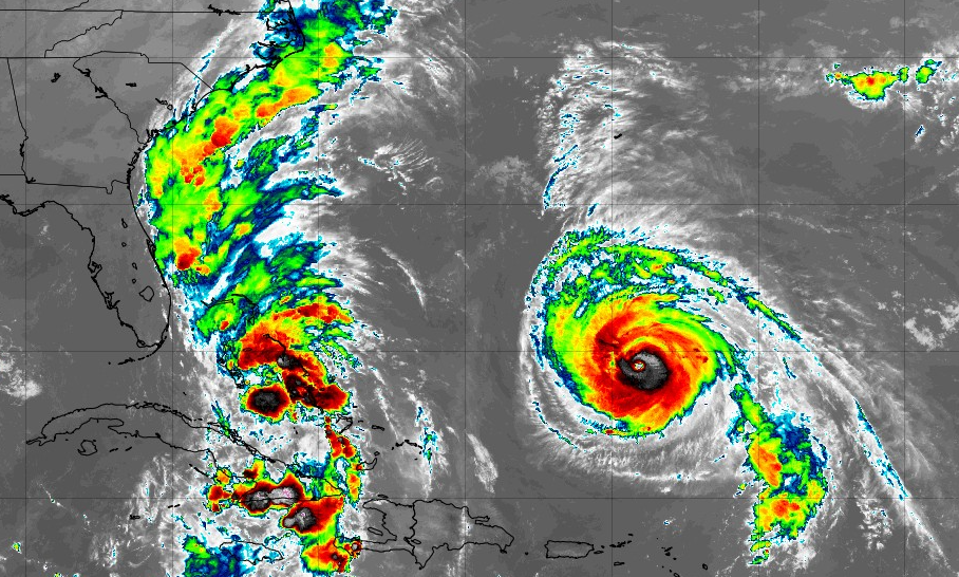
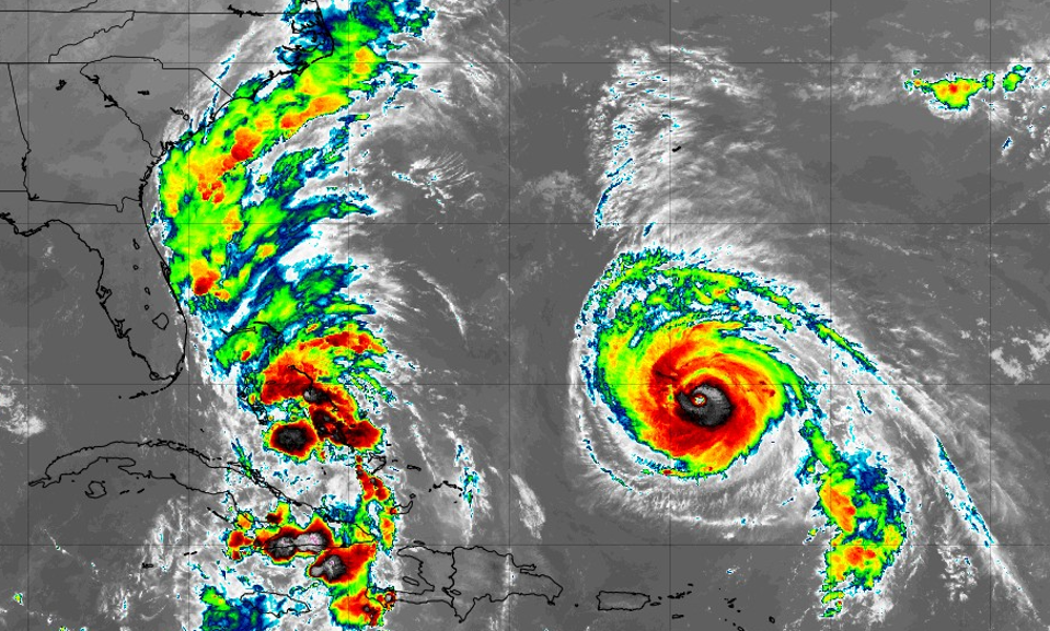
Satellite data captured on the morning of September 28, 2025, highlights two significant weather phenomena in the Atlantic basin: hurricane Humberto, a powerful storm system, and a tropical disturbance evolving into Tropical Storm Imelda. These systems are under close observation due to their potential effects on the southeastern United States coastline, especially across the Carolinas.

Hurricane Humberto’s Current Status and Projected Movement

hurricane Humberto continues to exhibit intense strength with sustained wind speeds surpassing 155 mph. Forecast models predict that it will gradually curve northeastward away from mainland areas toward open waters,possibly impacting Bermuda by midweek. The hurricane’s generated swells are already affecting marine conditions around northern Leeward Islands, Puerto Rico, Virgin Islands, and Bermuda throughout this period. Additionally, perilous rip currents linked to both Humberto and Imelda remain a concern along sections of the U.S. East Coast.

The Development and Expected Path of Tropical Storm Imelda

The tropical depression progressing into Tropical Storm Imelda is becoming more organized as it nears the Bahamas region. Updated meteorological projections now indicate that instead of making landfall along U.S. shores as initially anticipated, Imelda is likely to execute a sharp eastward turn away from coastal areas.

This maneuver results from intricate atmospheric dynamics involving upper-level pressure patterns-specifically an elongated low-pressure trough over the southeastern United States coupled with a high-pressure ridge over the Atlantic Ocean:

  • Troughs are extended zones of lower pressure often visualized as “U”-shaped dips in upper-atmosphere charts.
  • Ridges, conversely, represent elevated pressure regions resembling inverted “U” shapes that influence storm steering differently.

The interaction between these features creates a corridor guiding Imelda offshore rather than toward landfall locations.

How Hurricane Humberto Shapes Imelda’s Trajectory

A key element influencing Imelda’s course is its interaction with Hurricane Humberto’s broad outer circulation pattern. This expansive flow weakens surrounding atmospheric pressures in certain sectors which effectively nudges imelda away from populated coastlines toward open ocean waters.

“The slow progression combined with its position south of an vital track divergence point has increased confidence in an east-northeastward shift,” meteorologists observe.

This dynamic reduces but dose not eliminate risks for coastal impacts such as elevated surf or localized rainfall along shorelines.

Meteorological Interactions: Assessing Potential Fujiwhara Effect Between Two Systems

An intriguing consideration was weather these two storms might engage in what meteorologists call the Fujiwhara effect-a rare phenomenon where nearby cyclones rotate around each other altering their paths unpredictably. While early forecasts suggested possible mutual influence causing either convergence or divergence near landmasses, current evidence favors separation without significant interaction at this stage.

Cautious Optimism Amid Forecast Uncertainties

  • “Although consensus leans towards an offshore path for Imelda,” experts caution “it remains too soon for absolute certainty.”
  • tropical storm watches continue for parts of Florida’s eastern-central coast due to potential peripheral effects including gusty winds and rainbands brushing nearshore zones.

Southeastern Coastal Risks Despite Offshore Tracks

Tropical moisture associated with both storms may interact with stalled frontal boundaries across portions of the Southeast U.S., increasing chances for heavy rainfall events capable of triggering flash floods even if direct hits do not occur on major population centers.

Satellite image showing Hurricane Humberto alongside developing system likely becoming Tropical Storm or hurricane Imelda

Noaa Weather Prediction Center emphasizes:

“While direct strikes appear less likely based on recent national projections, abundant tropical moisture moving northwards may combine with existing weather fronts leading to localized flooding threats.”

Forecasted Rainfall Patterns Linked With Upcoming Cyclone Activity

Projected rainfall distribution related to future Tropical Storm or Hurricane Imelda

Key Takeaways: Preparedness Amid Changing Weather Scenarios

  • The unfolding situation highlights how vital it is indeed for residents along southeastern coasts-from Florida through North Carolina-to stay updated through official channels rather than relying solely on social media narratives which can sometimes exaggerate concerns without full context.
  • Meteorologists employ advanced modeling techniques integrating real-time observational data ensuring increasingly accurate forecasts compared against ancient analogues like Hurricanes Florence (2018), known for complex steering influences before impacting Carolinas.
  • Tropical storm watches reflect prudent caution given possible peripheral impacts despite diminished odds for major hurricanes striking mainland shores directly.

Projected tracks illustrating forecasted paths for hurricanes Humberto and future storm likely named 'Imelda'

LEAVE A REPLY

Please enter your comment!
Please enter your name here

Popular Articles